売買・賃貸物件を条件から探す
種類から探す

多摩モノレールの土地購入

多摩モノレールの土地をお探しなら不動産フランチャイズ店舗数ナンバー1のセンチュリー21におまかせ下さい。お客様の住みたいエリア・条件の土地情報を117件紹介しております。住みたい沿線・駅・地域や、ご希望に合った間取り、予算・ご希望の家賃、徒歩時間などの条件から、ご希望に沿った土地情報を見つけていただけます。お客様にご希望に沿うお部屋が見つかるようにお手伝いいたしますので、お気軽にご相談ください!

沿線から探す
東京都
多摩モノレール

変更

条件で絞り込む

検索結果117

並び順
表示件数
チェックした物件(最大10件まで)を

土地

東大和市桜が丘4丁目 売地

【桜街道】駅 徒歩6分  東大和市立第十小学校・東大和市立第四中学校

  • 東大和市桜が丘4丁目 売地

東大和市桜が丘4丁目 売地

2,880万円

所在地
東京都東大和市桜が丘4丁目
最寄り駅
桜街道駅 徒歩6分 多摩モノレール
玉川上水駅 徒歩11分 西武鉄道拝島線
上北台駅 徒歩15分 多摩モノレール
土地面積
112.59m²
土地面積(坪)
34.05坪
建ぺい/容積率
40%/80%
用途地域
第一種低層住居専用地域
建築条件
なし
土地現況
更地

画像カテゴリ

  • 間取り

取扱店舗

センチュリー21成ハウジング 

物件担当者コメント
東大和市桜が丘4丁目 売地【桜街道】駅まで徒歩6分♪【玉川上水】駅まで徒歩11分♪2駅2路線ご利用いただけます♪住環境の良いエリアにある売地です♪お好きなハウスメーカーにて建築可能です♪
センチュリー21成ハウジング

土地

東大和市芋窪4丁目 売地 全12区画 1号区

【上北台】駅 徒歩18分  東大和市立第七小学校・東大和市立第五中学校

  • 東大和市芋窪4丁目 売地 全12区画 1号区

  • 東大和市芋窪4丁目 売地 全12区画 1号区

  • 東大和市芋窪4丁目 売地 全12区画 1号区

  • 東大和市芋窪4丁目 売地 全12区画 1号区

東大和市芋窪4丁目 売地 全12区画 1号区
東大和市芋窪4丁目 売地 全12区画 1号区
東大和市芋窪4丁目 売地 全12区画 1号区
東大和市芋窪4丁目 売地 全12区画 1号区

2,880万円

所在地
東京都東大和市芋窪4丁目
最寄り駅
上北台駅 徒歩18分 多摩モノレール
桜街道駅 徒歩27分 多摩モノレール
西武球場前駅 徒歩29分 西武鉄道狭山線
土地面積
127.49m²
土地面積(坪)
38.56坪
建ぺい/容積率
40%/80%
用途地域
第一種低層住居専用地域
建築条件
建築条件付
土地現況
更地

画像カテゴリ

  • 間取り
  • 区画図
  • その他

取扱店舗

センチュリー21成ハウジング 

物件担当者コメント
こちらは住宅用地です◎緑が豊かでストレスを感じにくい第一種低層住居専用地域はいかがでしょうか◎建築条件付き売地です◎
センチュリー21成ハウジング

土地

東大和市芋窪4丁目 売地 全12区画 2号区

【上北台】駅 徒歩18分  東大和市立第七小学校・東大和市立第五中学校

  • 東大和市芋窪4丁目 売地 全12区画 2号区

  • 東大和市芋窪4丁目 売地 全12区画 2号区

東大和市芋窪4丁目 売地 全12区画 2号区
東大和市芋窪4丁目 売地 全12区画 2号区

2,880万円

所在地
東京都東大和市芋窪4丁目
最寄り駅
上北台駅 徒歩18分 多摩モノレール
桜街道駅 徒歩27分 多摩モノレール
西武球場前駅 徒歩29分 西武鉄道狭山線
土地面積
120.67m²
土地面積(坪)
36.50坪
建ぺい/容積率
40%/80%
用途地域
第一種低層住居専用地域
建築条件
建築条件付
土地現況
更地

画像カテゴリ

  • 間取り
  • 区画図

取扱店舗

センチュリー21成ハウジング 

物件担当者コメント
こちらは住宅用地です◎緑が豊かでストレスを感じにくい第一種低層住居専用地域はいかがでしょうか◎建築条件付き売地です◎
センチュリー21成ハウジング

土地

東大和市蔵敷2丁目/多摩モノレール「上北台」駅14分

  • 東大和市蔵敷2丁目/多摩モノレール「上北台」駅14分

  • 東大和市蔵敷2丁目/多摩モノレール「上北台」駅14分

  • 東大和市蔵敷2丁目/多摩モノレール「上北台」駅14分

  • 東大和市蔵敷2丁目/多摩モノレール「上北台」駅14分

  • 東大和市蔵敷2丁目/多摩モノレール「上北台」駅14分

東大和市蔵敷2丁目/多摩モノレール「上北台」駅14分
東大和市蔵敷2丁目/多摩モノレール「上北台」駅14分
東大和市蔵敷2丁目/多摩モノレール「上北台」駅14分
東大和市蔵敷2丁目/多摩モノレール「上北台」駅14分
東大和市蔵敷2丁目/多摩モノレール「上北台」駅14分

2,880万円

所在地
東京都東大和市蔵敷2丁目493-1
最寄り駅
上北台駅 徒歩14分 多摩モノレール
東大和市駅 バス10分 蔵敷停 停歩4分 西武鉄道拝島線
武蔵大和駅 バス15分 奈良橋停 停歩10分 西武鉄道多摩湖線
土地面積
136.41m²
土地面積(坪)
41.26坪
建ぺい/容積率
40%/80%
用途地域
第一種低層住居専用地域
建築条件
建築条件付
土地現況
更地

画像カテゴリ

  • 外観
  • 間取り
  • その他
  • 現地土地写真

取扱店舗

センチュリー21ヒカリ企画 萩生 春香

物件担当者コメント
☆売主直販☆敷地41坪!予算内で叶える、デザイン住宅。■長期優良住宅・ZEH水準の家■「上北台」駅徒歩14分■セミオーダー住宅「わが家」■並列2台カースペース対応可■都市ガス可■小学校まで徒歩2分
センチュリー21ヒカリ企画 萩生 春香

土地

東大和市新堀1丁目・全3区画

  • 東大和市新堀1丁目・全3区画

  • 東大和市新堀1丁目・全3区画

  • 東大和市新堀1丁目・全3区画

  • 東大和市新堀1丁目・全3区画

  • 東大和市新堀1丁目・全3区画

東大和市新堀1丁目・全3区画
東大和市新堀1丁目・全3区画
東大和市新堀1丁目・全3区画
東大和市新堀1丁目・全3区画
東大和市新堀1丁目・全3区画

2,980万円

所在地
東京都東大和市新堀1丁目
最寄り駅
東大和市駅 徒歩23分 西武鉄道拝島線
久米川駅 バス14分 大和第三小学校停 停歩7分 西武鉄道新宿線
立川駅 バス31分 大和第三小学校停 停歩6分 中央本線
土地面積
156.58m²
土地面積(坪)
47.36坪
建ぺい/容積率
40%/80%
用途地域
第一種低層住居専用地域
建築条件
なし
土地現況
更地

画像カテゴリ

  • 外観
  • 間取り
  • 現地土地写真
  • 前面道路含む現地写真

取扱店舗

センチュリー21ヒカリ企画 

物件担当者コメント
<建築条件なし>敷地面積約39坪からの全3区画。西武拝島線『東大和市』駅徒歩23分・周辺は閑静な住宅街です。■バス停徒歩6分■都市ガス■小学校&スーパー徒歩7分以内■
センチュリー21ヒカリ企画

土地

武蔵村山市大南3丁目 売地 全3区画 C号区

【玉川上水】駅 徒歩25分  武蔵村山市立小中一貫校大南学園第七小学校・武蔵村山市立小中一貫校大南学園第四中学校(

  • 武蔵村山市大南3丁目 売地 全3区画 C号区

  • 武蔵村山市大南3丁目 売地 全3区画 C号区

  • 武蔵村山市大南3丁目 売地 全3区画 C号区

  • 武蔵村山市大南3丁目 売地 全3区画 C号区

  • 武蔵村山市大南3丁目 売地 全3区画 C号区

武蔵村山市大南3丁目 売地 全3区画 C号区
武蔵村山市大南3丁目 売地 全3区画 C号区
武蔵村山市大南3丁目 売地 全3区画 C号区
武蔵村山市大南3丁目 売地 全3区画 C号区
武蔵村山市大南3丁目 売地 全3区画 C号区

2,980万円

所在地
東京都武蔵村山市大南3丁目
最寄り駅
玉川上水駅 徒歩25分 多摩モノレール
武蔵砂川駅 徒歩20分 西武鉄道拝島線
桜街道駅 徒歩24分 多摩モノレール
土地面積
142.30m²
土地面積(坪)
43.04坪
建ぺい/容積率
40%/80%
用途地域
第一種低層住居専用地域
建築条件
なし
土地現況
更地

画像カテゴリ

  • 外観
  • 間取り
  • 区画図
  • 前面道路含む現地写真

取扱店舗

センチュリー21成ハウジング 

物件担当者コメント
武蔵村山市大南3丁目 売地 全3区画 C号区徒歩3分の場所に小中学校があるので、安心してお子様を送り出せますね♪前面道路5m以上は確保しているので車の出し入れもラクラクです♪
センチュリー21成ハウジング

土地

武蔵村山市大南3丁目の売土地

★建築条件なしの売地が登場★・お好きなハウスメーカーで建築可能!・周辺には商業施設も充実

  • 武蔵村山市大南3丁目の売土地

  • 武蔵村山市大南3丁目の売土地

  • 武蔵村山市大南3丁目の売土地

  • 武蔵村山市大南3丁目の売土地

  • 武蔵村山市大南3丁目の売土地

武蔵村山市大南3丁目の売土地
武蔵村山市大南3丁目の売土地
武蔵村山市大南3丁目の売土地
武蔵村山市大南3丁目の売土地
武蔵村山市大南3丁目の売土地

2,980万円

所在地
東京都武蔵村山市大南3丁目
最寄り駅
武蔵砂川駅 徒歩21分 西武鉄道拝島線
桜街道駅 徒歩23分 多摩モノレール
桜街道駅 より車6分 1.80km 多摩モノレール
玉川上水駅 徒歩25分 西武鉄道拝島線
玉川上水駅 より車7分 2.70km 西武鉄道拝島線
土地面積
142.30m²
土地面積(坪)
43.04坪
建ぺい/容積率
40%/80%
用途地域
第一種低層住居専用地域
建築条件
なし
土地現況
更地

画像カテゴリ

  • 外観
  • 間取り
  • 区画図
  • 前面道路含む現地写真

取扱店舗

センチュリー21エム・エス・カンパニー 嶋田 匡宏

物件担当者コメント
★建築条件なしの売地が登場★・お好きなハウスメーカーで建築可能!・周辺には商業施設も充実
センチュリー21エム・エス・カンパニー 嶋田 匡宏

土地

リーブルガーデン 立川市上砂町3丁目 売地 全3区画 1号区

【武蔵砂川】駅 徒歩17分  立川市立上砂川小学校・立川市立第五中学校

  • リーブルガーデン 立川市上砂町3丁目 売地 全3区画 1号区

  • リーブルガーデン 立川市上砂町3丁目 売地 全3区画 1号区

  • リーブルガーデン 立川市上砂町3丁目 売地 全3区画 1号区

  • リーブルガーデン 立川市上砂町3丁目 売地 全3区画 1号区

  • リーブルガーデン 立川市上砂町3丁目 売地 全3区画 1号区

リーブルガーデン 立川市上砂町3丁目 売地 全3区画 1号区
リーブルガーデン 立川市上砂町3丁目 売地 全3区画 1号区
リーブルガーデン 立川市上砂町3丁目 売地 全3区画 1号区
リーブルガーデン 立川市上砂町3丁目 売地 全3区画 1号区
リーブルガーデン 立川市上砂町3丁目 売地 全3区画 1号区

3,100万円

所在地
東京都立川市上砂町3丁目
最寄り駅
武蔵砂川駅 徒歩17分 西武鉄道拝島線
立川駅 バス15分 大山団地西停 停歩7分 中央本線
西武立川駅 徒歩23分 西武鉄道拝島線
土地面積
111.47m²
土地面積(坪)
33.71坪
建ぺい/容積率
40%/80%
用途地域
第一種低層住居専用地域
建築条件
建築条件付
土地現況
更地

画像カテゴリ

  • 外観
  • 間取り
  • 区画図
  • 前面道路含む現地写真

取扱店舗

センチュリー21成ハウジング 

物件担当者コメント
リーブルガーデン 立川市上砂町3丁目 売地 全3区画 1号区住宅用地なので住みやすい環境が整っており、戸建てをお考えの方におすすめです♪土地面積は111.47平米(公簿)でイチオシ♪
センチュリー21成ハウジング

土地

東大和市向原5丁目・B号区

  • 東大和市向原5丁目・B号区

  • 東大和市向原5丁目・B号区

  • 東大和市向原5丁目・B号区

  • 東大和市向原5丁目・B号区

  • 東大和市向原5丁目・B号区

東大和市向原5丁目・B号区
東大和市向原5丁目・B号区
東大和市向原5丁目・B号区
東大和市向原5丁目・B号区
東大和市向原5丁目・B号区

3,280万円

所在地
東京都東大和市向原5丁目
最寄り駅
東大和市駅 徒歩14分 西武鉄道拝島線
立川駅 バス33分 梅の原住宅停 停歩5分 中央本線
玉川上水駅 徒歩34分 多摩モノレール
土地面積
121.80m²
土地面積(坪)
36.84坪
建ぺい/容積率
50%/100%
用途地域
第一種低層住居専用地域
建築条件
なし
土地現況
更地

画像カテゴリ

  • 外観
  • 間取り
  • 現地土地写真

取扱店舗

センチュリー21ヒカリ企画 

物件担当者コメント
センチュリー21ヒカリ企画

土地

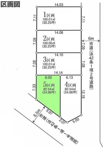
立川市栄町3丁目 売地 全5区画 5号区

【立川】駅 バス14分  立川市立南砂小学校・立川市立第二中学校

  • 立川市栄町3丁目 売地 全5区画 5号区

  • 立川市栄町3丁目 売地 全5区画 5号区

立川市栄町3丁目 売地 全5区画 5号区
立川市栄町3丁目 売地 全5区画 5号区

3,280万円

所在地
東京都立川市栄町3丁目
最寄り駅
立川駅 バス14分 西武バス立川営業所停 停歩6分 中央本線
立飛駅 徒歩22分 多摩モノレール
高松駅 徒歩18分 多摩モノレール
土地面積
82.54m²
土地面積(坪)
24.96坪
建ぺい/容積率
40%/80%
用途地域
第一種低層住居専用地域
建築条件
なし
土地現況
更地

画像カテゴリ

  • 間取り
  • 区画図

取扱店舗

センチュリー21成ハウジング 

物件担当者コメント
「立川市栄町3丁目 売地 全5区画 5号区」徒歩圏内にコンビニやスーパーがありますのでちょっとしたお買い物や毎日のお買い物にも困りにくい立地です♪安心の前面道路6m以上の条件を備えております♪
センチュリー21成ハウジング
チェックした物件(最大10件まで)を