売買・賃貸物件を条件から探す
種類から探す

浅草駅の土地購入情報

浅草駅「東京都」の土地をお探しなら不動産フランチャイズ店舗数ナンバー1のセンチュリー21におまかせ下さい。お客様の住みたいエリア・条件の土地情報を4件紹介しております。住みたい沿線・駅・地域や、ご希望に合った間取り、予算・ご希望の家賃、徒歩時間などの条件から、ご希望に沿った土地情報を見つけていただけます。お客様にご希望に沿うお部屋が見つかるようにお手伝いいたしますので、お気軽にご相談ください!

沿線から探す
東京都
つくばエクスプレス

変更

条件で絞り込む

検索結果4

並び順
表示件数
  • 1
チェックした物件(最大10件まで)を

土地

台東区浅草5丁目 売土地

■浅草駅徒歩13分■建築条件無■北東、南東の角地■ホテル参考建物プランあり

  • 台東区浅草5丁目 売土地

  • 台東区浅草5丁目 売土地

  • 台東区浅草5丁目 売土地

  • 台東区浅草5丁目 売土地

  • 台東区浅草5丁目 売土地

台東区浅草5丁目 売土地
台東区浅草5丁目 売土地
台東区浅草5丁目 売土地
台東区浅草5丁目 売土地
台東区浅草5丁目 売土地

8,280万円

所在地
東京都台東区浅草5丁目
最寄り駅
浅草駅 徒歩13分 つくばエクスプレス
入谷駅 徒歩14分 東京地下鉄日比谷線
浅草駅 徒歩17分 東京地下鉄銀座線
浅草駅 徒歩17分 東武伊勢崎・大師線
土地面積
36.27m²
土地面積(坪)
10.97坪
建ぺい/容積率
80%/500%
用途地域
商業地域
建築条件
なし
土地現況
上物有

画像カテゴリ

  • 外観
  • 間取り
  • その他

取扱店舗

センチュリー21たばたコーポレーション 長谷川 浩二

物件担当者コメント
■浅草駅徒歩13分■建築条件無■北東、南東の角地■ホテル参考建物プランあり
センチュリー21たばたコーポレーション 長谷川 浩二

土地

台東区東浅草2丁目 売土地

■南千住駅徒歩12分、複数路線利用可■建築条件無■更地■北東側約6m巾公道に面す

  • 台東区東浅草2丁目 売土地

  • 台東区東浅草2丁目 売土地

台東区東浅草2丁目 売土地
台東区東浅草2丁目 売土地

9,500万円

所在地
東京都台東区東浅草2丁目
最寄り駅
南千住駅 徒歩12分 東京地下鉄日比谷線
南千住駅 徒歩12分 常磐線
浅草駅 徒歩20分 つくばエクスプレス
土地面積
78.84m²
土地面積(坪)
23.84坪
建ぺい/容積率
80%/360%
用途地域
近隣商業地域
建築条件
なし
土地現況
更地

画像カテゴリ

  • 外観
  • 間取り

取扱店舗

センチュリー21たばたコーポレーション 長谷川 浩二

物件担当者コメント
■南千住駅徒歩12分、複数路線利用可■建築条件無■更地■北東側約6m巾公道に面す
センチュリー21たばたコーポレーション 長谷川 浩二

土地

台東区千束1丁目 売土地

■浅草駅徒歩5分、複数路線・駅利用可■建築条件無■東側道路■通勤、通学、買物便利

  • 台東区千束1丁目 売土地

  • 台東区千束1丁目 売土地

  • 台東区千束1丁目 売土地

  • 台東区千束1丁目 売土地

台東区千束1丁目 売土地
台東区千束1丁目 売土地
台東区千束1丁目 売土地
台東区千束1丁目 売土地

1億円

所在地
東京都台東区千束1丁目
最寄り駅
浅草駅 徒歩5分 つくばエクスプレス
入谷駅 徒歩12分 東京地下鉄日比谷線
田原町駅 徒歩13分 東京地下鉄銀座線
浅草駅 徒歩15分 東武伊勢崎・大師線
土地面積
66.16m²
土地面積(坪)
20.01坪
建ぺい/容積率
80%/500%
用途地域
商業地域
建築条件
なし
土地現況
上物有

画像カテゴリ

  • 外観
  • 間取り
  • その他

取扱店舗

センチュリー21たばたコーポレーション 長谷川 浩二

物件担当者コメント
■浅草駅徒歩5分、複数路線・駅利用可■建築条件無■東側道路■通勤、通学、買物便利
センチュリー21たばたコーポレーション 長谷川 浩二

NEW

土地

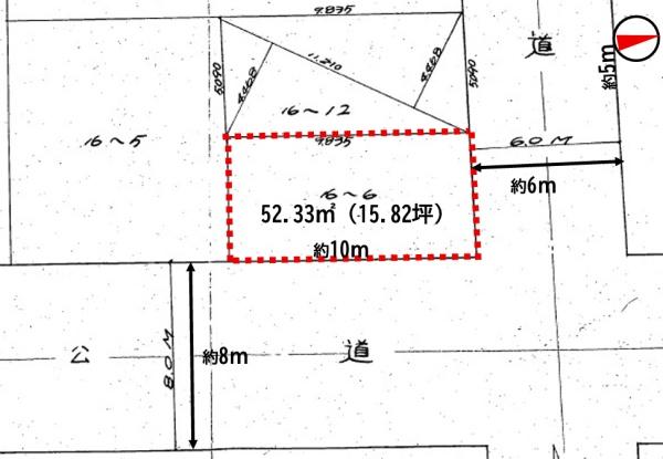
台東区浅草6丁目 売土地

■浅草駅徒歩10分、複数路線利用可■東8m×北6mの公道面角地■建築条件無し

  • 台東区浅草6丁目 売土地

  • 台東区浅草6丁目 売土地

  • 台東区浅草6丁目 売土地

  • 台東区浅草6丁目 売土地

台東区浅草6丁目 売土地
台東区浅草6丁目 売土地
台東区浅草6丁目 売土地
台東区浅草6丁目 売土地

1億3,000万円

所在地
東京都台東区浅草6丁目
最寄り駅
浅草駅 徒歩10分 東武伊勢崎・大師線
浅草駅 徒歩12分 東京地下鉄銀座線
浅草駅 徒歩12分 つくばエクスプレス
浅草駅 徒歩12分 東京都浅草線
土地面積
52.33m²
土地面積(坪)
15.82坪
建ぺい/容積率
80%/400%
用途地域
商業地域
建築条件
なし
土地現況
上物有

画像カテゴリ

  • 外観
  • 間取り
  • その他

取扱店舗

センチュリー21たばたコーポレーション 長谷川 浩二

物件担当者コメント
■浅草駅徒歩10分、複数路線利用可■東8m×北6mの公道面角地■建築条件無し
センチュリー21たばたコーポレーション 長谷川 浩二
チェックした物件(最大10件まで)を
  • 1