売買・賃貸物件を条件から探す
種類から探す

東山田駅の土地購入情報

東山田駅「神奈川県」の土地をお探しなら不動産フランチャイズ店舗数ナンバー1のセンチュリー21におまかせ下さい。お客様の住みたいエリア・条件の土地情報を20件紹介しております。住みたい沿線・駅・地域や、ご希望に合った間取り、予算・ご希望の家賃、徒歩時間などの条件から、ご希望に沿った土地情報を見つけていただけます。お客様にご希望に沿うお部屋が見つかるようにお手伝いいたしますので、お気軽にご相談ください!

沿線から探す
神奈川県
横浜市グリーンL

変更

条件で絞り込む

検索結果20

並び順
表示件数
チェックした物件(最大10件まで)を

土地

横浜市都筑区早渕3丁目 建築条件付売地 No4

東山田駅まで徒歩7分の好立地!全5区画の開発分譲地!建物フリープラン!スムーズに建築できる建築条件付売地です。

  • 横浜市都筑区早渕3丁目 建築条件付売地 No4

  • 横浜市都筑区早渕3丁目 建築条件付売地 No4

  • 横浜市都筑区早渕3丁目 建築条件付売地 No4

  • 横浜市都筑区早渕3丁目 建築条件付売地 No4

  • 横浜市都筑区早渕3丁目 建築条件付売地 No4

横浜市都筑区早渕3丁目 建築条件付売地 No4
横浜市都筑区早渕3丁目 建築条件付売地 No4
横浜市都筑区早渕3丁目 建築条件付売地 No4
横浜市都筑区早渕3丁目 建築条件付売地 No4
横浜市都筑区早渕3丁目 建築条件付売地 No4

4,280万円

所在地
神奈川県横浜市都筑区早渕3丁目
最寄り駅
東山田駅 徒歩7分 横浜市グリーンL
北山田駅 徒歩20分 横浜市グリーンL
高田駅 徒歩25分 横浜市グリーンL
土地面積
125.35m²
土地面積(坪)
37.91坪
建ぺい/容積率
50%/80%
用途地域
指定なし
建築条件
建築条件付
土地現況
更地

画像カテゴリ

  • 外観
  • 間取り
  • 現地土地写真
  • 全体区画図

取扱店舗

センチュリー21中央ハウジング 渡辺 聡

物件担当者コメント
東山田駅まで徒歩7分の好立地!全5区画の開発分譲地!建物フリープラン!スムーズに建築できる建築条件付売地です。
センチュリー21中央ハウジング 渡辺 聡

土地

横浜市港北区高田西5丁目の売土地

「建築条件なし」お好きなハウスメーカーで建築できます。東南の角地に立地、日当たり良好です。

  • 横浜市港北区高田西5丁目の売土地

  • 横浜市港北区高田西5丁目の売土地

  • 横浜市港北区高田西5丁目の売土地

  • 横浜市港北区高田西5丁目の売土地

  • 横浜市港北区高田西5丁目の売土地

横浜市港北区高田西5丁目の売土地
横浜市港北区高田西5丁目の売土地
横浜市港北区高田西5丁目の売土地
横浜市港北区高田西5丁目の売土地
横浜市港北区高田西5丁目の売土地

4,480万円

所在地
神奈川県横浜市港北区高田西5丁目
最寄り駅
東山田駅 徒歩16分 横浜市グリーンL
高田駅 徒歩17分 横浜市グリーンL
土地面積
178.10m²
土地面積(坪)
53.87坪
建ぺい/容積率
50%/80%
用途地域
第一種低層住居専用地域
建築条件
なし
土地現況
更地

画像カテゴリ

  • 外観
  • 間取り
  • 現地土地写真

取扱店舗

センチュリー21スターライフ 陽田 玲

物件担当者コメント
「建築条件なし」お好きなハウスメーカーで建築できます。東南の角地に立地、日当たり良好です。
センチュリー21スターライフ 陽田 玲

土地

土地

グリーンライン2駅利用可!南東角地!陽当り良好!地下車庫付き!前面道路約9.6mで開放感がございます!建築条件無しにつきお好きなハウスメーカーで建築出来ます!

  • 土地

  • 土地

  • 土地

  • 土地

  • 土地

土地
土地
土地
土地
土地

4,480万円

所在地
神奈川県横浜市港北区高田西5丁目
最寄り駅
東山田駅 徒歩16分 横浜市グリーンL
高田駅 徒歩17分 横浜市グリーンL
日吉本町駅 徒歩29分 横浜市グリーンL
土地面積
178.10m²
土地面積(坪)
53.87坪
建ぺい/容積率
50%/80%
用途地域
第一種低層住居専用地域
建築条件
なし
土地現況
更地

画像カテゴリ

  • 外観
  • 間取り
  • プラン例(間取図)
  • 前面道路含む現地写真
  • 現地土地写真

取扱店舗

センチュリー21ゲットハウス 遠藤 力

物件担当者コメント
グリーンライン2駅利用可!南東角地!陽当り良好!地下車庫付き!前面道路約9.6mで開放感がございます!建築条件無しにつきお好きなハウスメーカーで建築出来ます!
センチュリー21ゲットハウス 遠藤 力

土地

横浜市都筑区早渕3丁目 建築条件付売地 No3

東山田駅まで徒歩7分の好立地!全5区画の開発分譲地!ゆとりの敷地約37坪!陽当たり良好です。建物フリープラン!スムーズに建築できる建築条件付売地です。

  • 横浜市都筑区早渕3丁目 建築条件付売地 No3

  • 横浜市都筑区早渕3丁目 建築条件付売地 No3

  • 横浜市都筑区早渕3丁目 建築条件付売地 No3

  • 横浜市都筑区早渕3丁目 建築条件付売地 No3

  • 横浜市都筑区早渕3丁目 建築条件付売地 No3

横浜市都筑区早渕3丁目 建築条件付売地 No3
横浜市都筑区早渕3丁目 建築条件付売地 No3
横浜市都筑区早渕3丁目 建築条件付売地 No3
横浜市都筑区早渕3丁目 建築条件付売地 No3
横浜市都筑区早渕3丁目 建築条件付売地 No3

4,580万円

所在地
神奈川県横浜市都筑区早渕3丁目
最寄り駅
東山田駅 徒歩7分 横浜市グリーンL
北山田駅 徒歩20分 横浜市グリーンL
高田駅 徒歩25分 横浜市グリーンL
土地面積
125.29m²
土地面積(坪)
37.90坪
建ぺい/容積率
50%/80%
用途地域
指定なし
建築条件
建築条件付
土地現況
更地

画像カテゴリ

  • 外観
  • 間取り
  • 現地土地写真
  • 前面道路含む現地写真
  • 全体区画図

取扱店舗

センチュリー21中央ハウジング 渡辺 聡

物件担当者コメント
東山田駅まで徒歩7分の好立地!全5区画の開発分譲地!ゆとりの敷地約37坪!陽当たり良好です。建物フリープラン!スムーズに建築できる建築条件付売地です。
センチュリー21中央ハウジング 渡辺 聡

土地

横浜市都筑区早渕3丁目 建築条件付売地 No2

東山田駅まで徒歩7分の好立地!全5区画の開発分譲地!ゆとりの敷地約37坪!陽当たり良好です。建物フリープラン!スムーズに建築できる建築条件付売地です。

  • 横浜市都筑区早渕3丁目 建築条件付売地 No2

  • 横浜市都筑区早渕3丁目 建築条件付売地 No2

  • 横浜市都筑区早渕3丁目 建築条件付売地 No2

  • 横浜市都筑区早渕3丁目 建築条件付売地 No2

  • 横浜市都筑区早渕3丁目 建築条件付売地 No2

横浜市都筑区早渕3丁目 建築条件付売地 No2
横浜市都筑区早渕3丁目 建築条件付売地 No2
横浜市都筑区早渕3丁目 建築条件付売地 No2
横浜市都筑区早渕3丁目 建築条件付売地 No2
横浜市都筑区早渕3丁目 建築条件付売地 No2

4,680万円

所在地
神奈川県横浜市都筑区早渕3丁目
最寄り駅
東山田駅 徒歩7分 横浜市グリーンL
北山田駅 徒歩20分 横浜市グリーンL
高田駅 徒歩25分 横浜市グリーンL
土地面積
125.58m²
土地面積(坪)
37.98坪
建ぺい/容積率
50%/80%
用途地域
指定なし
建築条件
建築条件付
土地現況
更地

画像カテゴリ

  • 外観
  • 間取り
  • 現地土地写真
  • 全体区画図

取扱店舗

センチュリー21中央ハウジング 渡辺 聡

物件担当者コメント
東山田駅まで徒歩7分の好立地!全5区画の開発分譲地!ゆとりの敷地約37坪!陽当たり良好です。建物フリープラン!スムーズに建築できる建築条件付売地です。
センチュリー21中央ハウジング 渡辺 聡

土地

横浜市都筑区早渕3丁目 建築条件付売地 No1

東山田駅まで徒歩7分の好立地!全5区画の開発分譲地!開放感のある陽当たり良好な角地区画!ゆとりの敷地約37坪!建物フリープラン!スムーズに建築できる建築条件

  • 横浜市都筑区早渕3丁目 建築条件付売地 No1

  • 横浜市都筑区早渕3丁目 建築条件付売地 No1

  • 横浜市都筑区早渕3丁目 建築条件付売地 No1

  • 横浜市都筑区早渕3丁目 建築条件付売地 No1

  • 横浜市都筑区早渕3丁目 建築条件付売地 No1

横浜市都筑区早渕3丁目 建築条件付売地 No1
横浜市都筑区早渕3丁目 建築条件付売地 No1
横浜市都筑区早渕3丁目 建築条件付売地 No1
横浜市都筑区早渕3丁目 建築条件付売地 No1
横浜市都筑区早渕3丁目 建築条件付売地 No1

4,980万円

所在地
神奈川県横浜市都筑区早渕3丁目
最寄り駅
東山田駅 徒歩7分 横浜市グリーンL
北山田駅 徒歩20分 横浜市グリーンL
高田駅 徒歩25分 横浜市グリーンL
土地面積
125.30m²
土地面積(坪)
37.90坪
建ぺい/容積率
50%/80%
用途地域
指定なし
建築条件
建築条件付
土地現況
更地

画像カテゴリ

  • 外観
  • 間取り
  • 現地土地写真
  • 全体区画図

取扱店舗

センチュリー21中央ハウジング 渡辺 聡

物件担当者コメント
東山田駅まで徒歩7分の好立地!全5区画の開発分譲地!開放感のある陽当たり良好な角地区画!ゆとりの敷地約37坪!建物フリープラン!スムーズに建築できる建築条件付売地です。
センチュリー21中央ハウジング 渡辺 聡

土地

横浜市都筑区早渕3丁目 建築条件付売地 No5

東山田駅まで徒歩7分の好立地!全5区画の開発分譲地!約42坪のゆとりの敷地!建物フリープラン!スムーズに建築できる建築条件付売地です。

  • 横浜市都筑区早渕3丁目 建築条件付売地 No5

  • 横浜市都筑区早渕3丁目 建築条件付売地 No5

  • 横浜市都筑区早渕3丁目 建築条件付売地 No5

  • 横浜市都筑区早渕3丁目 建築条件付売地 No5

  • 横浜市都筑区早渕3丁目 建築条件付売地 No5

横浜市都筑区早渕3丁目 建築条件付売地 No5
横浜市都筑区早渕3丁目 建築条件付売地 No5
横浜市都筑区早渕3丁目 建築条件付売地 No5
横浜市都筑区早渕3丁目 建築条件付売地 No5
横浜市都筑区早渕3丁目 建築条件付売地 No5

5,080万円

所在地
神奈川県横浜市都筑区早渕3丁目
最寄り駅
東山田駅 徒歩7分 横浜市グリーンL
北山田駅 徒歩20分 横浜市グリーンL
高田駅 徒歩25分 横浜市グリーンL
土地面積
141.82m²
土地面積(坪)
42.90坪
建ぺい/容積率
50%/80%
用途地域
指定なし
建築条件
建築条件付
土地現況
更地

画像カテゴリ

  • 外観
  • 間取り
  • 現地土地写真
  • 全体区画図

取扱店舗

センチュリー21中央ハウジング 渡辺 聡

物件担当者コメント
東山田駅まで徒歩7分の好立地!全5区画の開発分譲地!約42坪のゆとりの敷地!建物フリープラン!スムーズに建築できる建築条件付売地です。
センチュリー21中央ハウジング 渡辺 聡

土地

土地

近隣には公園や緑道があり閑静な住宅街!小、中学校徒歩5分以内!スーパーも近く生活環境良好!土地約72坪!建築条件無しにつきお好きなハウスメーカーで建築出来ます!

  • 土地

  • 土地

  • 土地

  • 土地

  • 土地

土地
土地
土地
土地
土地

5,480万円

所在地
神奈川県横浜市都筑区東山田2丁目
最寄り駅
北山田駅 徒歩11分 横浜市グリーンL
東山田駅 徒歩18分 横浜市グリーンL
センター北駅 徒歩37分 横浜市ブルーライン
土地面積
238.62m²
土地面積(坪)
72.18坪
建ぺい/容積率
50%/80%
用途地域
第一種低層住居専用地域
建築条件
なし
土地現況
上物有

画像カテゴリ

  • 外観
  • 間取り
  • 前面道路含む現地写真
  • その他現地

取扱店舗

センチュリー21ゲットハウス 中村 拓海

物件担当者コメント
近隣には公園や緑道があり、閑静な住宅街!小、中学校徒歩5分以内!スーパーも近く生活環境良好です!土地約72坪!建築条件無しにつきお好きなハウスメーカーで建築出来ます!
センチュリー21ゲットハウス 中村 拓海

土地

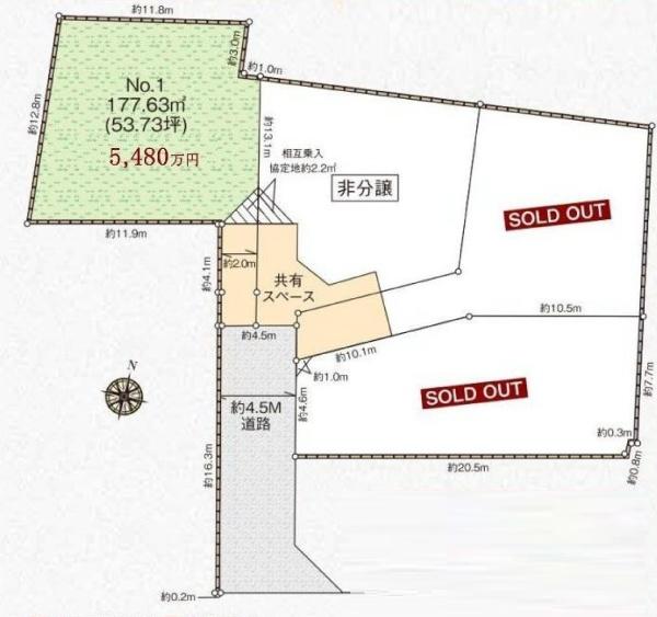
都築区東山田1丁目 全3区画1区画

■南欧スタイルの北山田駅は穏やかな雰囲気のベットタウン■公園が点在する緑豊かな住環境■駅周辺は商業施設が充実■

  • 都築区東山田1丁目 全3区画1区画

  • 都築区東山田1丁目 全3区画1区画

  • 都築区東山田1丁目 全3区画1区画

  • 都築区東山田1丁目 全3区画1区画

  • 都築区東山田1丁目 全3区画1区画

都築区東山田1丁目 全3区画1区画
都築区東山田1丁目 全3区画1区画
都築区東山田1丁目 全3区画1区画
都築区東山田1丁目 全3区画1区画
都築区東山田1丁目 全3区画1区画

5,480万円

所在地
神奈川県横浜市都筑区東山田1丁目
最寄り駅
北山田駅 徒歩13分 横浜市グリーンL
センター北駅 徒歩34分 横浜市ブルーライン
宮崎台駅 徒歩40分 東急田園都市線
東山田駅 徒歩24分 横浜市グリーンL
土地面積
177.63m²
土地面積(坪)
53.73坪
建ぺい/容積率
40%/80%
用途地域
第一種低層住居専用地域
建築条件
なし
土地現況
更地

画像カテゴリ

  • 外観
  • 間取り
  • その他現地

取扱店舗

センチュリー21日立ホーム 

物件担当者コメント
■南欧スタイルの北山田駅は穏やかな雰囲気のベットタウン■公園が点在する緑豊かな住環境■駅周辺は商業施設が充実■
センチュリー21日立ホーム

土地

川崎市宮前区東有馬5丁目の売土地

建物参考プランあり(延床面積:97.29平米・税込価格:1,460万円)

  • 川崎市宮前区東有馬5丁目の売土地

  • 川崎市宮前区東有馬5丁目の売土地

川崎市宮前区東有馬5丁目の売土地
川崎市宮前区東有馬5丁目の売土地

5,520万円

所在地
神奈川県川崎市宮前区東有馬5丁目
最寄り駅
北山田駅 徒歩11分 横浜市グリーンL
東山田駅 徒歩29分 横浜市グリーンL
センター北駅 徒歩30分 横浜市ブルーライン
センター北駅 徒歩30分 横浜市グリーンL
土地面積
173.66m²
土地面積(坪)
52.53坪
建ぺい/容積率
40%/80%
用途地域
第一種低層住居専用地域
建築条件
なし
土地現況
更地

画像カテゴリ

  • 間取り
  • プラン例(間取図)

取扱店舗

センチュリー21アース住販 

物件担当者コメント
建物参考プランあり(延床面積:97.29平米・税込価格:1,460万円)
センチュリー21アース住販
チェックした物件(最大10件まで)を