売買・賃貸物件を条件から探す
種類から探す

滝宮の土地購入

滝宮の土地をお探しなら不動産フランチャイズ店舗数ナンバー1のセンチュリー21におまかせ下さい。お客様の住みたいエリア・条件の土地情報を1件紹介しております。住みたい沿線・駅・地域や、ご希望に合った間取り、予算・ご希望の家賃、徒歩時間などの条件から、ご希望に沿った土地情報を見つけていただけます。お客様にご希望に沿うお部屋が見つかるようにお手伝いいたしますので、お気軽にご相談ください!

エリアから探す
香川県
綾歌郡綾川町 滝宮

変更

条件で絞り込む

検索結果1

並び順
表示件数
  • 1
チェックした物件(最大10件まで)を

土地

売土地 綾川町滝宮

【売土地 綾川町滝宮】売主側で契約締結後解体更地渡し。土地約187坪の広々敷地。滝宮小学校まで徒歩9分。一部地目が畑を含む為、農地転用許可が必要。

  • 売土地 綾川町滝宮

  • 売土地 綾川町滝宮

  • 売土地 綾川町滝宮

  • 売土地 綾川町滝宮

  • 売土地 綾川町滝宮

売土地 綾川町滝宮
売土地 綾川町滝宮
売土地 綾川町滝宮
売土地 綾川町滝宮
売土地 綾川町滝宮

960万円

所在地
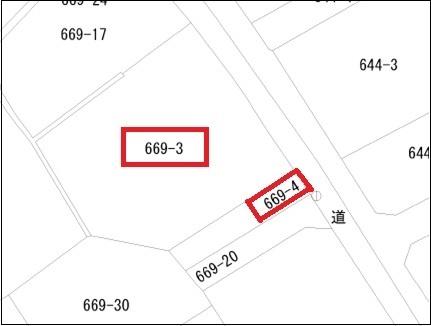
香川県綾歌郡綾川町滝宮669番3、669番4
最寄り駅
滝宮駅 徒歩13分 高松琴平電鉄琴平線
綾川駅 徒歩18分 高松琴平電鉄琴平線
土地面積
620.85m²
土地面積(坪)
187.80坪
建ぺい/容積率
70%/200%
用途地域
指定なし
建築条件
なし
土地現況
古家付

画像カテゴリ

  • 外観
  • 間取り
  • 現地案内図
  • 前面道路含む現地写真
  • その他現地

取扱店舗

センチュリー21みすずホーム 

物件担当者コメント
【売土地 綾川町滝宮】売主側で契約締結後解体更地渡し。土地約187坪の広々敷地。滝宮小学校まで徒歩9分。一部地目が畑を含む為、農地転用許可が必要。
センチュリー21みすずホーム
チェックした物件(最大10件まで)を
  • 1